当前位置:首页>南京>【城市绿地设计】|南京农业大学2023真题

【城市绿地设计】|南京农业大学2023真题

  • 2026-04-17 14:09:19
【城市绿地设计】|南京农业大学2023真题

手绘表现 · 考研快题 · 考研理论 · 软件出图

环境设计(室内&景观)|视觉传达|风景园林|建筑学|城乡规划|工业设计|数字媒体

2026

01 
    写在前面

城市绿地规划设计核心目标是在有限的城市空间中,构建一个能够发挥最大生态效益、社会效益和美学效益的绿色网络。

一、构建城市绿地系统

这一层面主要解决“在哪里建绿地”和“建多少绿地”的问题,通常对应城市总体规划和专项规划阶段。

1.系统性原则:构建绿地网络

·点线面结合:不能只建孤立的公园,而要通过绿道、滨水绿带、防护林等“线”性空间,将城市公园、社区游园、郊野公园、自然保护区等“点”和“面”连接起来,形成完整的生态系统和游憩网络。

·生态廊道:确保关键性的生态廊道畅通,便于野生动物迁徙和物种交换,维护生物多样性。

2.均衡布局:满足服务半径

·公园绿地服务半径:确保居民能够在一定步行距离内(如300米见绿,500米见园)到达公园绿地,实现公平共享。

·分级配置:根据城市规模,合理配置市级公园、区级公园、社区公园和街头绿地,形成层级分明、覆盖全面的体系。

3.生态安全格局:优先保护

·生态敏感性分析:在规划之初,应优先识别和保护城市的生态敏感区(如河流湖泊、山体林地、基本农田)。

·避让限制:明确禁止建设区,将绿地规划与城市增长边界、生态控制线相结合,防止城市无序蔓延。

4.功能复合:与城市其他系统协同

·与防洪排涝结合:将绿地规划与海绵城市建设紧密结合,利用绿地滞蓄雨水,减轻城市内涝。

·与交通系统结合:结合轨道交通、公交站点布局绿地,形成舒适的慢行接驳系统。

·与历史文化结合:保护并串联城市的历史文化街区、古迹遗址,形成文化景观线路。

二、创造人性化场所

1.以人为本的功能分区与空间设计

·满足不同人群需求:划分动静分区,设置儿童游戏区、老年人活动区、青年运动区、安静休憩区等,避免相互干扰。

·无障碍设计:确保全园无障碍通行,体现对老人、儿童和残障人士的关怀。

·空间尺度:创造多样的空间体验,既有开阔的大草坪(提供疏朗感),也有密林小径(提供私密感)。避免大而不当的空旷广场。

2.生态优先的植物景观设计

·乡土树种为主:优先选用适应本地气候、病虫害少、养护成本低的乡土树种,构建稳定的植物群落。

·乔-灌-草复层结构:模拟自然森林群落,形成高低错落、层次丰富的垂直结构,提高单位面积的绿量和生态效益(固碳、滞尘、降噪)。

·季相变化:合理搭配观花、观叶、观果植物,实现“三季有花、四季有景”的景观效果。

·生物多样性:种植蜜源植物、鸟嗜植物,为鸟类、昆虫等提供食物和栖息地。

3.海绵城市理念的技术落地

·源头控制:通过下沉式绿地、雨水花园、植草沟、透水铺装等技术措施,对雨水进行渗透、滞蓄、净化和利用。

·水景设计:尽量采用生态驳岸,增强水体的自净能力。人工水景应考虑水资源的循环利用,避免成为耗水的负担。

4.完善的配套设施与艺术表达

·服务设施:合理布置座椅、垃圾桶、厕所、标识系统、照明设施。座椅应设置在视线良好、有遮荫的地方。

·文化融入:通过雕塑、小品、铺装图案等方式,融入地方文化元素,增强绿地的归属感和文化认同感。

·安全设计:保证夜间照明充足,消除视线死角,水边设置安全护栏和警示标识。

02 
    任务书

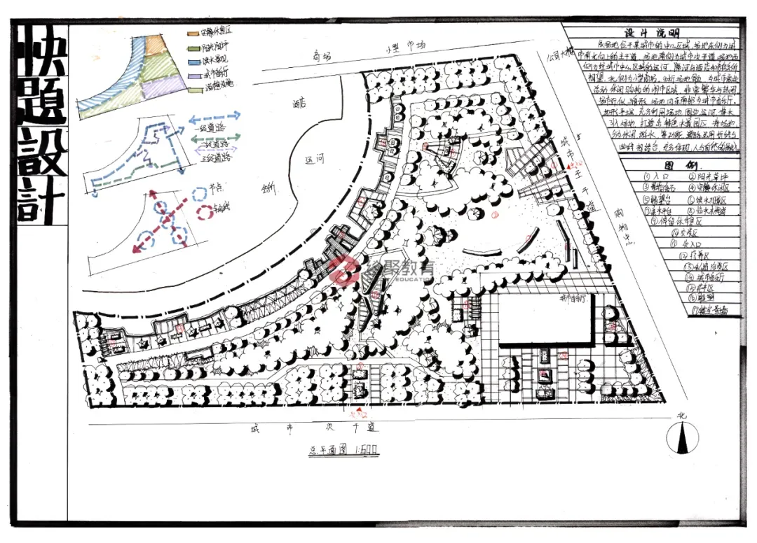
一、场地概况

长江流域江南城市某绿地,东西约300m,南北总宽度约200m,东侧为图书馆,西侧为市民中心,多进行行政服务,南侧为办公楼,北侧为商业街。场地内部有一条南北向城市道路将场地分为东西两部分。场地南侧有一河道宽12m,内部有若干古树名木。

二、设计内容

场地需要

1、一处“阅读”雕塑;

2、一处休憩用的建筑。

三、图纸需要

1、总平面图1:600-800自定。

2、东西两部分场地的剖面图各一个,要求表现出高差变化。

3、设计的建筑或雕塑及周边环境的效果图1个,分析图1个。

任务书分析:

1.场地现状与周边环境分析

考点:

·场地被城市道路环绕或穿越,存在交通干扰。

·周边有商业街、办公楼、图书馆、市民中心,人流量大,功能多样。

·存在湖面与河道,水资源丰富。

·保留银杏,需保护并利用。

处理方式:

·功能分区:根据周边功能(商业、文化、办公)设置对应的景观功能区,如商业休闲区、文化展示区、滨水休闲区等。

·交通组织:合理设置主次入口,连接周边建筑与道路,避免人车混行。

·水景利用:将湖面与河道作为景观核心,设计滨水步道、观景平台、亲水平台等。

·保留银杏:作为场地记忆点,围绕其设计节点广场或休憩区。


2.竖向设计与排水

考点:

·图中标注了高程(如 7.00、2.00),可能存在高差变化。

·靠近河道、湖面,需考虑防洪、排水、亲水设计。

处理方式:

·台地设计:利用高差设置台阶、坡道、观景平台,增强空间层次感。

·雨水管理:结合海绵城市理念,设置雨水花园、植草沟、透水铺装等。

·亲水安全:在近水区域设置栏杆、警示标识,避免安全隐患。


3.交通流线与入口设置

考点:

·多条城市道路环绕,需合理引导人流。

·周边建筑功能多样,需考虑便捷通达性。

处理方式:

·主入口设置:靠近商业街、市民中心等人流密集区设置主入口。

·次入口设置:靠近办公楼、图书馆设置次入口,方便通勤人群。

·内部路径设计:形成环状或网状步道系统,串联各个功能区。


4.植物配置与生态设计

考点:

·保留银杏,需保护并突出其景观价值。

·滨水区域需考虑生态修复与植物搭配。

处理方式:

·银杏节点设计:围绕银杏设置树池、座椅、铺装变化,形成视觉焦点。

·滨水植物:种植水生植物(如芦苇、菖蒲)净化水质,丰富景观层次。

·隔离绿化带:沿城市道路设置绿化隔离带,减少噪音和视线干扰。


5.文化氛围与功能融合

考点:

·周边有图书馆、市民中心,文化氛围浓厚。

·商业街带来活力,需兼顾休闲与消费。

处理方式:

·文化广场:设置开放空间用于阅读、交流、小型文化活动。

·商业外摆区:结合商业街,设置咖啡座、艺术装置、市集空间。

·夜景照明:突出水景与银杏,营造宜人夜间氛围。


6.景观轴线与视线引导

考点:

·湖面、河道、银杏、建筑等构成视线焦点。

·需要形成有节奏的景观序列。

处理方式:

·主轴线设计:从主入口引向湖面或银杏,形成视觉通廊。

·对景与借景:利用建筑、水景作为对景,丰富空间体验。

·节点设置:在关键位置设置雕塑、亭廊、水景等增强趣味性。

03 
    作品展示
04 
    案例分享

成都麓湖水线公园是在城市居住空间与滨水空间组织关系中的一次新探索与景观设计实践。通过生态模拟的设计手法,以情境再现的设计形式,加强周边社区与滨水绿地的联系,在有限的城市空间中拉近了人与自然的距离。发掘成都这座山城的水文化脉络,以四川水文特征为导向,串联都江堰、岷江河谷、五彩池等景观,构筑独具在地特色的社区公园——“水线公园”。

▼项目概览

水线公园位于麓湖生态城内核心区域,横跨两个湖区,贯穿十几个体量庞大的居住区。场地长约1.5公里,最窄的地方仅40米,是典型的在城市扩张过程中的狭长型“剩余”空地。受高差限制,整个场地犹如一个线性的“壕沟”,最高的落差接近5米,很难作为公共公园使用。散落与被分割的社区环境,使得居民日常生活仅局限在自己社区内部,缺乏与其他社区的交往与联系。设计团队希望通过活水公园重新将不同社区的居民吸引出来,用水的主题重新串联他们的公共活动与交往。

▼场地原状

▼水线公园建成照片

为了唤醒这个灰色峡谷的生机与活力,设计团队充分发掘城市地脉和文脉,以四川水文特征为导向,通过生态模拟的设计手法将堰渠、谷地、叠池与洲屿逐步演绎形成四个专属于成都的水互动公园。包括四个段落,分水公园、穿水公园、叠水公园、环水公园。

▼策略动图

▼策略分析图

▼局部顶视图

在狭窄的线性“剩余”场地空间中,设计团队利用植物设计,巧妙地将水与景有机融合,弱化人工痕迹,强调自然做功。大地造型、自然拟态的设计,唤醒了岷江滋养下的成都人的滨水记忆。

▼大地造型、自然拟态的设计

穿水公园作为“水线公园”中的第一个落地段,设计团队通过利用场地内的高差,结合高低起伏的地形,打造了一条掩映在绿荫之下趣味盎然的“自然隧道”,以起伏的地形、茂密的草本植物围合出幽深的峡谷水溪。 根据自然规律,穿水公园可以自主调节季节水量大小;丰水期,枯水期两种不同的景观,打造一个跟随季节变化的吐纳公园。流淌穿行于社区之中,在山苗和高草的交辉掩映之间。置身于水雾中,沿着溪涧前行,在曲折迂回之间打造一个融入社区的线性公园。为了摸拟自然山川形态和流水冲刷的空间和肌理效果,保证峡谷造型可塑性、可行性、隐蔽性和便利性,材料采用建筑立面级别的GRC。打造一个极具挑战的石头峡谷。

▼起伏的地形、茂密的草本植物围合出幽深的峡谷水溪

▼峡谷中蒸腾的水雾

倾泻的水瀑、活泼的涌泉、灵动的跳泉,四下弥散的雾泉,置身其中,随机触发的互动水景装置,在不同的空间带来多元的水乐互动体验。利用特殊的场地高差,从高处的步行桥下发源,汇入低处水塘,形态各异的池底造就了变化丰富的水流,等待有心人静静观赏细微处的律动。

▼穿水公园生态水循环分析

▼穿水公园节点分析

▼掩映在绿荫之下趣味盎然的“自然隧道”

▼互动水装置

▼多元的水乐互动体验

分水公园位于麓湖生态城的心脏地带,是继“穿水公园”后,Lab D+H Shanghai在城市居住空间与滨水空间组织关系中的又一次探索与实践。它虽比穿水公园稍晚完工,却是整个水线公园的序曲和开章,也是社区水系的源头,依水而居、安逸乐活的滨水文化在这里延续传承。

▼分水公园视频

▼分水公园轴测图

▼分水公园生态水循环分析

▼分水公园夜景鸟瞰

▼分水公园建成照片

▼“水元宝”中央的互动喷泉

▼“水元宝”细部

都江堰通过引流、分流,解决了灌溉和洪涝等难题。分水公园在设计时也巧妙地处理了水景的观赏、娱乐、及生态属性,借鉴其鱼嘴口、飞沙堰以及宝瓶口等堤堰关卡设计,在总长约800米的水渠中,实现了水景的一水多用。水渠的设计使得水流深浅流速不一,并且整个水景互动系统都可分时分区可控。分水公园不仅提供了娱乐和视觉的享受空间,还能够在汛期辅助麓湖疏浚,发挥生态作用,造福麓湖的居民。

▼分水公园节点分析

▼分水公园景观分析

▼分水公园肌理分析

▼水渠的设计使得水流深浅流速不一

▼水渠与喷泉

▼流水漫径

“水”是贯穿整个成都麓湖社区的灵魂。在这里,人的活动与水的活动息息相关。麓湖活水公园,将城市的文脉和地脉有机结合,营造了独具四川在地特色的活水公园。以沉浸式的体验,再现滨水记忆的自然情境,用一条富于变化的线性滨水公园,讲述了“水是如何流到成都”的曲折过程。紧密了社区与滨水空间的联系,拉近了人与滨水的距离,焕发了社区空间的生机与活力。

▼夜景

▼总平面图

▼水墨表现

来源:谷德设计网

05 
    课程费用
06
风景园林作品展示
07
20—24届院校考研成绩不完全统计
08
绘聚师资团队

最新文章

随机文章

基本 文件 流程 错误 SQL 调试
  1. 请求信息 : 2026-04-17 17:33:46 HTTP/2.0 GET : https://b.460.net.cn/a/499953.html
  2. 运行时间 : 0.100497s [ 吞吐率:9.95req/s ] 内存消耗:4,488.77kb 文件加载:140
  3. 缓存信息 : 0 reads,0 writes
  4. 会话信息 : SESSION_ID=739681fea1916237d426e1eda81a288f
  1. /yingpanguazai/ssd/ssd1/www/b.460.net.cn/public/index.php ( 0.79 KB )
  2. /yingpanguazai/ssd/ssd1/www/b.460.net.cn/vendor/autoload.php ( 0.17 KB )
  3. /yingpanguazai/ssd/ssd1/www/b.460.net.cn/vendor/composer/autoload_real.php ( 2.49 KB )
  4. /yingpanguazai/ssd/ssd1/www/b.460.net.cn/vendor/composer/platform_check.php ( 0.90 KB )
  5. /yingpanguazai/ssd/ssd1/www/b.460.net.cn/vendor/composer/ClassLoader.php ( 14.03 KB )
  6. /yingpanguazai/ssd/ssd1/www/b.460.net.cn/vendor/composer/autoload_static.php ( 4.90 KB )
  7. /yingpanguazai/ssd/ssd1/www/b.460.net.cn/vendor/topthink/think-helper/src/helper.php ( 8.34 KB )
  8. /yingpanguazai/ssd/ssd1/www/b.460.net.cn/vendor/topthink/think-validate/src/helper.php ( 2.19 KB )
  9. /yingpanguazai/ssd/ssd1/www/b.460.net.cn/vendor/topthink/think-orm/src/helper.php ( 1.47 KB )
  10. /yingpanguazai/ssd/ssd1/www/b.460.net.cn/vendor/topthink/think-orm/stubs/load_stubs.php ( 0.16 KB )
  11. /yingpanguazai/ssd/ssd1/www/b.460.net.cn/vendor/topthink/framework/src/think/Exception.php ( 1.69 KB )
  12. /yingpanguazai/ssd/ssd1/www/b.460.net.cn/vendor/topthink/think-container/src/Facade.php ( 2.71 KB )
  13. /yingpanguazai/ssd/ssd1/www/b.460.net.cn/vendor/symfony/deprecation-contracts/function.php ( 0.99 KB )
  14. /yingpanguazai/ssd/ssd1/www/b.460.net.cn/vendor/symfony/polyfill-mbstring/bootstrap.php ( 8.26 KB )
  15. /yingpanguazai/ssd/ssd1/www/b.460.net.cn/vendor/symfony/polyfill-mbstring/bootstrap80.php ( 9.78 KB )
  16. /yingpanguazai/ssd/ssd1/www/b.460.net.cn/vendor/symfony/var-dumper/Resources/functions/dump.php ( 1.49 KB )
  17. /yingpanguazai/ssd/ssd1/www/b.460.net.cn/vendor/topthink/think-dumper/src/helper.php ( 0.18 KB )
  18. /yingpanguazai/ssd/ssd1/www/b.460.net.cn/vendor/symfony/var-dumper/VarDumper.php ( 4.30 KB )
  19. /yingpanguazai/ssd/ssd1/www/b.460.net.cn/vendor/topthink/framework/src/think/App.php ( 15.30 KB )
  20. /yingpanguazai/ssd/ssd1/www/b.460.net.cn/vendor/topthink/think-container/src/Container.php ( 15.76 KB )
  21. /yingpanguazai/ssd/ssd1/www/b.460.net.cn/vendor/psr/container/src/ContainerInterface.php ( 1.02 KB )
  22. /yingpanguazai/ssd/ssd1/www/b.460.net.cn/app/provider.php ( 0.19 KB )
  23. /yingpanguazai/ssd/ssd1/www/b.460.net.cn/vendor/topthink/framework/src/think/Http.php ( 6.04 KB )
  24. /yingpanguazai/ssd/ssd1/www/b.460.net.cn/vendor/topthink/think-helper/src/helper/Str.php ( 7.29 KB )
  25. /yingpanguazai/ssd/ssd1/www/b.460.net.cn/vendor/topthink/framework/src/think/Env.php ( 4.68 KB )
  26. /yingpanguazai/ssd/ssd1/www/b.460.net.cn/app/common.php ( 0.03 KB )
  27. /yingpanguazai/ssd/ssd1/www/b.460.net.cn/vendor/topthink/framework/src/helper.php ( 18.78 KB )
  28. /yingpanguazai/ssd/ssd1/www/b.460.net.cn/vendor/topthink/framework/src/think/Config.php ( 5.54 KB )
  29. /yingpanguazai/ssd/ssd1/www/b.460.net.cn/config/app.php ( 0.95 KB )
  30. /yingpanguazai/ssd/ssd1/www/b.460.net.cn/config/cache.php ( 0.78 KB )
  31. /yingpanguazai/ssd/ssd1/www/b.460.net.cn/config/console.php ( 0.23 KB )
  32. /yingpanguazai/ssd/ssd1/www/b.460.net.cn/config/cookie.php ( 0.56 KB )
  33. /yingpanguazai/ssd/ssd1/www/b.460.net.cn/config/database.php ( 2.47 KB )
  34. /yingpanguazai/ssd/ssd1/www/b.460.net.cn/vendor/topthink/framework/src/think/facade/Env.php ( 1.67 KB )
  35. /yingpanguazai/ssd/ssd1/www/b.460.net.cn/config/filesystem.php ( 0.61 KB )
  36. /yingpanguazai/ssd/ssd1/www/b.460.net.cn/config/lang.php ( 0.91 KB )
  37. /yingpanguazai/ssd/ssd1/www/b.460.net.cn/config/log.php ( 1.35 KB )
  38. /yingpanguazai/ssd/ssd1/www/b.460.net.cn/config/middleware.php ( 0.19 KB )
  39. /yingpanguazai/ssd/ssd1/www/b.460.net.cn/config/route.php ( 1.89 KB )
  40. /yingpanguazai/ssd/ssd1/www/b.460.net.cn/config/session.php ( 0.57 KB )
  41. /yingpanguazai/ssd/ssd1/www/b.460.net.cn/config/trace.php ( 0.34 KB )
  42. /yingpanguazai/ssd/ssd1/www/b.460.net.cn/config/view.php ( 0.82 KB )
  43. /yingpanguazai/ssd/ssd1/www/b.460.net.cn/app/event.php ( 0.25 KB )
  44. /yingpanguazai/ssd/ssd1/www/b.460.net.cn/vendor/topthink/framework/src/think/Event.php ( 7.67 KB )
  45. /yingpanguazai/ssd/ssd1/www/b.460.net.cn/app/service.php ( 0.13 KB )
  46. /yingpanguazai/ssd/ssd1/www/b.460.net.cn/app/AppService.php ( 0.26 KB )
  47. /yingpanguazai/ssd/ssd1/www/b.460.net.cn/vendor/topthink/framework/src/think/Service.php ( 1.64 KB )
  48. /yingpanguazai/ssd/ssd1/www/b.460.net.cn/vendor/topthink/framework/src/think/Lang.php ( 7.35 KB )
  49. /yingpanguazai/ssd/ssd1/www/b.460.net.cn/vendor/topthink/framework/src/lang/zh-cn.php ( 13.70 KB )
  50. /yingpanguazai/ssd/ssd1/www/b.460.net.cn/vendor/topthink/framework/src/think/initializer/Error.php ( 3.31 KB )
  51. /yingpanguazai/ssd/ssd1/www/b.460.net.cn/vendor/topthink/framework/src/think/initializer/RegisterService.php ( 1.33 KB )
  52. /yingpanguazai/ssd/ssd1/www/b.460.net.cn/vendor/services.php ( 0.14 KB )
  53. /yingpanguazai/ssd/ssd1/www/b.460.net.cn/vendor/topthink/framework/src/think/service/PaginatorService.php ( 1.52 KB )
  54. /yingpanguazai/ssd/ssd1/www/b.460.net.cn/vendor/topthink/framework/src/think/service/ValidateService.php ( 0.99 KB )
  55. /yingpanguazai/ssd/ssd1/www/b.460.net.cn/vendor/topthink/framework/src/think/service/ModelService.php ( 2.04 KB )
  56. /yingpanguazai/ssd/ssd1/www/b.460.net.cn/vendor/topthink/think-trace/src/Service.php ( 0.77 KB )
  57. /yingpanguazai/ssd/ssd1/www/b.460.net.cn/vendor/topthink/framework/src/think/Middleware.php ( 6.72 KB )
  58. /yingpanguazai/ssd/ssd1/www/b.460.net.cn/vendor/topthink/framework/src/think/initializer/BootService.php ( 0.77 KB )
  59. /yingpanguazai/ssd/ssd1/www/b.460.net.cn/vendor/topthink/think-orm/src/Paginator.php ( 11.86 KB )
  60. /yingpanguazai/ssd/ssd1/www/b.460.net.cn/vendor/topthink/think-validate/src/Validate.php ( 63.20 KB )
  61. /yingpanguazai/ssd/ssd1/www/b.460.net.cn/vendor/topthink/think-orm/src/Model.php ( 23.55 KB )
  62. /yingpanguazai/ssd/ssd1/www/b.460.net.cn/vendor/topthink/think-orm/src/model/concern/Attribute.php ( 21.05 KB )
  63. /yingpanguazai/ssd/ssd1/www/b.460.net.cn/vendor/topthink/think-orm/src/model/concern/AutoWriteData.php ( 4.21 KB )
  64. /yingpanguazai/ssd/ssd1/www/b.460.net.cn/vendor/topthink/think-orm/src/model/concern/Conversion.php ( 6.44 KB )
  65. /yingpanguazai/ssd/ssd1/www/b.460.net.cn/vendor/topthink/think-orm/src/model/concern/DbConnect.php ( 5.16 KB )
  66. /yingpanguazai/ssd/ssd1/www/b.460.net.cn/vendor/topthink/think-orm/src/model/concern/ModelEvent.php ( 2.33 KB )
  67. /yingpanguazai/ssd/ssd1/www/b.460.net.cn/vendor/topthink/think-orm/src/model/concern/RelationShip.php ( 28.29 KB )
  68. /yingpanguazai/ssd/ssd1/www/b.460.net.cn/vendor/topthink/think-helper/src/contract/Arrayable.php ( 0.09 KB )
  69. /yingpanguazai/ssd/ssd1/www/b.460.net.cn/vendor/topthink/think-helper/src/contract/Jsonable.php ( 0.13 KB )
  70. /yingpanguazai/ssd/ssd1/www/b.460.net.cn/vendor/topthink/think-orm/src/model/contract/Modelable.php ( 0.09 KB )
  71. /yingpanguazai/ssd/ssd1/www/b.460.net.cn/vendor/topthink/framework/src/think/Db.php ( 2.88 KB )
  72. /yingpanguazai/ssd/ssd1/www/b.460.net.cn/vendor/topthink/think-orm/src/DbManager.php ( 8.52 KB )
  73. /yingpanguazai/ssd/ssd1/www/b.460.net.cn/vendor/topthink/framework/src/think/Log.php ( 6.28 KB )
  74. /yingpanguazai/ssd/ssd1/www/b.460.net.cn/vendor/topthink/framework/src/think/Manager.php ( 3.92 KB )
  75. /yingpanguazai/ssd/ssd1/www/b.460.net.cn/vendor/psr/log/src/LoggerTrait.php ( 2.69 KB )
  76. /yingpanguazai/ssd/ssd1/www/b.460.net.cn/vendor/psr/log/src/LoggerInterface.php ( 2.71 KB )
  77. /yingpanguazai/ssd/ssd1/www/b.460.net.cn/vendor/topthink/framework/src/think/Cache.php ( 4.92 KB )
  78. /yingpanguazai/ssd/ssd1/www/b.460.net.cn/vendor/psr/simple-cache/src/CacheInterface.php ( 4.71 KB )
  79. /yingpanguazai/ssd/ssd1/www/b.460.net.cn/vendor/topthink/think-helper/src/helper/Arr.php ( 16.63 KB )
  80. /yingpanguazai/ssd/ssd1/www/b.460.net.cn/vendor/topthink/framework/src/think/cache/driver/File.php ( 7.84 KB )
  81. /yingpanguazai/ssd/ssd1/www/b.460.net.cn/vendor/topthink/framework/src/think/cache/Driver.php ( 9.03 KB )
  82. /yingpanguazai/ssd/ssd1/www/b.460.net.cn/vendor/topthink/framework/src/think/contract/CacheHandlerInterface.php ( 1.99 KB )
  83. /yingpanguazai/ssd/ssd1/www/b.460.net.cn/app/Request.php ( 0.09 KB )
  84. /yingpanguazai/ssd/ssd1/www/b.460.net.cn/vendor/topthink/framework/src/think/Request.php ( 55.78 KB )
  85. /yingpanguazai/ssd/ssd1/www/b.460.net.cn/app/middleware.php ( 0.25 KB )
  86. /yingpanguazai/ssd/ssd1/www/b.460.net.cn/vendor/topthink/framework/src/think/Pipeline.php ( 2.61 KB )
  87. /yingpanguazai/ssd/ssd1/www/b.460.net.cn/vendor/topthink/think-trace/src/TraceDebug.php ( 3.40 KB )
  88. /yingpanguazai/ssd/ssd1/www/b.460.net.cn/vendor/topthink/framework/src/think/middleware/SessionInit.php ( 1.94 KB )
  89. /yingpanguazai/ssd/ssd1/www/b.460.net.cn/vendor/topthink/framework/src/think/Session.php ( 1.80 KB )
  90. /yingpanguazai/ssd/ssd1/www/b.460.net.cn/vendor/topthink/framework/src/think/session/driver/File.php ( 6.27 KB )
  91. /yingpanguazai/ssd/ssd1/www/b.460.net.cn/vendor/topthink/framework/src/think/contract/SessionHandlerInterface.php ( 0.87 KB )
  92. /yingpanguazai/ssd/ssd1/www/b.460.net.cn/vendor/topthink/framework/src/think/session/Store.php ( 7.12 KB )
  93. /yingpanguazai/ssd/ssd1/www/b.460.net.cn/vendor/topthink/framework/src/think/Route.php ( 23.73 KB )
  94. /yingpanguazai/ssd/ssd1/www/b.460.net.cn/vendor/topthink/framework/src/think/route/RuleName.php ( 5.75 KB )
  95. /yingpanguazai/ssd/ssd1/www/b.460.net.cn/vendor/topthink/framework/src/think/route/Domain.php ( 2.53 KB )
  96. /yingpanguazai/ssd/ssd1/www/b.460.net.cn/vendor/topthink/framework/src/think/route/RuleGroup.php ( 22.43 KB )
  97. /yingpanguazai/ssd/ssd1/www/b.460.net.cn/vendor/topthink/framework/src/think/route/Rule.php ( 26.95 KB )
  98. /yingpanguazai/ssd/ssd1/www/b.460.net.cn/vendor/topthink/framework/src/think/route/RuleItem.php ( 9.78 KB )
  99. /yingpanguazai/ssd/ssd1/www/b.460.net.cn/route/app.php ( 1.72 KB )
  100. /yingpanguazai/ssd/ssd1/www/b.460.net.cn/vendor/topthink/framework/src/think/facade/Route.php ( 4.70 KB )
  101. /yingpanguazai/ssd/ssd1/www/b.460.net.cn/vendor/topthink/framework/src/think/route/dispatch/Controller.php ( 4.74 KB )
  102. /yingpanguazai/ssd/ssd1/www/b.460.net.cn/vendor/topthink/framework/src/think/route/Dispatch.php ( 10.44 KB )
  103. /yingpanguazai/ssd/ssd1/www/b.460.net.cn/app/controller/Index.php ( 4.81 KB )
  104. /yingpanguazai/ssd/ssd1/www/b.460.net.cn/app/BaseController.php ( 2.05 KB )
  105. /yingpanguazai/ssd/ssd1/www/b.460.net.cn/vendor/topthink/think-orm/src/facade/Db.php ( 0.93 KB )
  106. /yingpanguazai/ssd/ssd1/www/b.460.net.cn/vendor/topthink/think-orm/src/db/connector/Mysql.php ( 5.44 KB )
  107. /yingpanguazai/ssd/ssd1/www/b.460.net.cn/vendor/topthink/think-orm/src/db/PDOConnection.php ( 52.47 KB )
  108. /yingpanguazai/ssd/ssd1/www/b.460.net.cn/vendor/topthink/think-orm/src/db/Connection.php ( 8.39 KB )
  109. /yingpanguazai/ssd/ssd1/www/b.460.net.cn/vendor/topthink/think-orm/src/db/ConnectionInterface.php ( 4.57 KB )
  110. /yingpanguazai/ssd/ssd1/www/b.460.net.cn/vendor/topthink/think-orm/src/db/builder/Mysql.php ( 16.58 KB )
  111. /yingpanguazai/ssd/ssd1/www/b.460.net.cn/vendor/topthink/think-orm/src/db/Builder.php ( 24.06 KB )
  112. /yingpanguazai/ssd/ssd1/www/b.460.net.cn/vendor/topthink/think-orm/src/db/BaseBuilder.php ( 27.50 KB )
  113. /yingpanguazai/ssd/ssd1/www/b.460.net.cn/vendor/topthink/think-orm/src/db/Query.php ( 15.71 KB )
  114. /yingpanguazai/ssd/ssd1/www/b.460.net.cn/vendor/topthink/think-orm/src/db/BaseQuery.php ( 45.13 KB )
  115. /yingpanguazai/ssd/ssd1/www/b.460.net.cn/vendor/topthink/think-orm/src/db/concern/TimeFieldQuery.php ( 7.43 KB )
  116. /yingpanguazai/ssd/ssd1/www/b.460.net.cn/vendor/topthink/think-orm/src/db/concern/AggregateQuery.php ( 3.26 KB )
  117. /yingpanguazai/ssd/ssd1/www/b.460.net.cn/vendor/topthink/think-orm/src/db/concern/ModelRelationQuery.php ( 20.07 KB )
  118. /yingpanguazai/ssd/ssd1/www/b.460.net.cn/vendor/topthink/think-orm/src/db/concern/ParamsBind.php ( 3.66 KB )
  119. /yingpanguazai/ssd/ssd1/www/b.460.net.cn/vendor/topthink/think-orm/src/db/concern/ResultOperation.php ( 7.01 KB )
  120. /yingpanguazai/ssd/ssd1/www/b.460.net.cn/vendor/topthink/think-orm/src/db/concern/WhereQuery.php ( 19.37 KB )
  121. /yingpanguazai/ssd/ssd1/www/b.460.net.cn/vendor/topthink/think-orm/src/db/concern/JoinAndViewQuery.php ( 7.11 KB )
  122. /yingpanguazai/ssd/ssd1/www/b.460.net.cn/vendor/topthink/think-orm/src/db/concern/TableFieldInfo.php ( 2.63 KB )
  123. /yingpanguazai/ssd/ssd1/www/b.460.net.cn/vendor/topthink/think-orm/src/db/concern/Transaction.php ( 2.77 KB )
  124. /yingpanguazai/ssd/ssd1/www/b.460.net.cn/vendor/topthink/framework/src/think/log/driver/File.php ( 5.96 KB )
  125. /yingpanguazai/ssd/ssd1/www/b.460.net.cn/vendor/topthink/framework/src/think/contract/LogHandlerInterface.php ( 0.86 KB )
  126. /yingpanguazai/ssd/ssd1/www/b.460.net.cn/vendor/topthink/framework/src/think/log/Channel.php ( 3.89 KB )
  127. /yingpanguazai/ssd/ssd1/www/b.460.net.cn/vendor/topthink/framework/src/think/event/LogRecord.php ( 1.02 KB )
  128. /yingpanguazai/ssd/ssd1/www/b.460.net.cn/vendor/topthink/think-helper/src/Collection.php ( 16.47 KB )
  129. /yingpanguazai/ssd/ssd1/www/b.460.net.cn/vendor/topthink/framework/src/think/facade/View.php ( 1.70 KB )
  130. /yingpanguazai/ssd/ssd1/www/b.460.net.cn/vendor/topthink/framework/src/think/View.php ( 4.39 KB )
  131. /yingpanguazai/ssd/ssd1/www/b.460.net.cn/vendor/topthink/framework/src/think/Response.php ( 8.81 KB )
  132. /yingpanguazai/ssd/ssd1/www/b.460.net.cn/vendor/topthink/framework/src/think/response/View.php ( 3.29 KB )
  133. /yingpanguazai/ssd/ssd1/www/b.460.net.cn/vendor/topthink/framework/src/think/Cookie.php ( 6.06 KB )
  134. /yingpanguazai/ssd/ssd1/www/b.460.net.cn/vendor/topthink/think-view/src/Think.php ( 8.38 KB )
  135. /yingpanguazai/ssd/ssd1/www/b.460.net.cn/vendor/topthink/framework/src/think/contract/TemplateHandlerInterface.php ( 1.60 KB )
  136. /yingpanguazai/ssd/ssd1/www/b.460.net.cn/vendor/topthink/think-template/src/Template.php ( 46.61 KB )
  137. /yingpanguazai/ssd/ssd1/www/b.460.net.cn/vendor/topthink/think-template/src/template/driver/File.php ( 2.41 KB )
  138. /yingpanguazai/ssd/ssd1/www/b.460.net.cn/vendor/topthink/think-template/src/template/contract/DriverInterface.php ( 0.86 KB )
  139. /yingpanguazai/ssd/ssd1/www/b.460.net.cn/runtime/temp/b35eef690f41e64ad9e1c098cfc7d3bc.php ( 11.98 KB )
  140. /yingpanguazai/ssd/ssd1/www/b.460.net.cn/vendor/topthink/think-trace/src/Html.php ( 4.42 KB )
  1. CONNECT:[ UseTime:0.000559s ] mysql:host=127.0.0.1;port=3306;dbname=b460;charset=utf8mb4
  2. SHOW FULL COLUMNS FROM `fenlei` [ RunTime:0.000969s ]
  3. SELECT * FROM `fenlei` WHERE `fid` = 0 [ RunTime:0.000359s ]
  4. SELECT * FROM `fenlei` WHERE `fid` = 63 [ RunTime:0.000371s ]
  5. SHOW FULL COLUMNS FROM `set` [ RunTime:0.000634s ]
  6. SELECT * FROM `set` [ RunTime:0.000226s ]
  7. SHOW FULL COLUMNS FROM `article` [ RunTime:0.000597s ]
  8. SELECT * FROM `article` WHERE `id` = 499953 LIMIT 1 [ RunTime:0.003235s ]
  9. UPDATE `article` SET `lasttime` = 1776418426 WHERE `id` = 499953 [ RunTime:0.004928s ]
  10. SELECT * FROM `fenlei` WHERE `id` = 65 LIMIT 1 [ RunTime:0.000317s ]
  11. SELECT * FROM `article` WHERE `id` < 499953 ORDER BY `id` DESC LIMIT 1 [ RunTime:0.000471s ]
  12. SELECT * FROM `article` WHERE `id` > 499953 ORDER BY `id` ASC LIMIT 1 [ RunTime:0.001111s ]
  13. SELECT * FROM `article` WHERE `id` < 499953 ORDER BY `id` DESC LIMIT 10 [ RunTime:0.001079s ]
  14. SELECT * FROM `article` WHERE `id` < 499953 ORDER BY `id` DESC LIMIT 10,10 [ RunTime:0.002276s ]
  15. SELECT * FROM `article` WHERE `id` < 499953 ORDER BY `id` DESC LIMIT 20,10 [ RunTime:0.001396s ]
0.102109s