https://doi.org/10.1016/j.jmst.2026.02.008

一、研究背景
TiAl 基金属间化合物因低密度、高比强度成为航空航天和发电领域高温结构件的理想候选材料,但800℃以上抗氧化性差的问题限制了其应用。TiAlCr 基防护涂层虽能形成 α-Al₂O₃保护膜,却存在长期高温下互扩散、缺陷累积、微结构不稳定等问题,且现有涂层缺乏氧化诱导的自修复机制。此外,传统涂层制备工艺各有缺陷,磁控溅射易形成氧快速扩散通道、阴极电弧蒸发引入大颗粒、热喷涂存在高孔隙率等问题,且均为结构静态涂层,无法自主缓解氧化损伤。
为此,本研究旨在制备 TiAlCrNbY 自适应涂层,通过调控成分与微结构,同时实现互扩散抑制与微结构自修复,提升其在 1000℃下的长期热稳定性。
二、实验方法
涂层制备:以 Ti-45Al-8Nb(at.%)为基体,经喷砂、乙醇超声清洗后,采用 AIP 工艺沉积 TiAlCrNbY 涂层,靶材成分为 Ti-55Al-20Cr-1Nb-0.4Y(at.%),沉积前经 Ar⁺离子轰击活化、预溅射除氧化物,沉积后在 1000℃氩气氛围中热处理 4h,释放残余应力并促进涂层致密化。
等温氧化测试:在 1000℃静态空气中对热处理后的涂层进行 1、5、20、50、100、200、300h 等温氧化试验,通过称重记录氧化动力学,并选取 5、50、300h 三个时间点表征涂层微结构演变。
表征手段:采用 X 射线衍射(XRD)、拉曼光谱分析物相演变;场发射扫描电镜(FE-SEM)结合能谱(EDS)观察表面/ 截面形貌与元素分布;透射电镜(TEM)开展高分辨率结构分析;划痕测试仪评估涂层结合力;ImageJ 软件定量分析孔隙率和相体积分数。
三、结果
1.热处理诱导的结构与力学演变
沉积态涂层为非晶结构,含 AIP 工艺固有大颗粒,成分异质;经 1000℃热处理后发生晶化,生成 τ-Ti₀.₂₅Al₀.₆₇Cr₀.₀₈相、C14 型 AlCr₂相和 Ti (Al,Cr)₂相,同时出现少量不连续 Al₂O₃纳米颗粒,孔隙率从7vol.% 降至 6vol.%,微结构更均匀致密。力学性能上,涂层硬度从 6.50GPa 降至 5.33GPa(残余应力释放),临界脱粘载荷从 48.1N 提升至 57.0N,结合力与耐磨性显著改善,摩擦系数从 0.95 降至 0.44。

2.氧化诱导的物相演变与抗氧化动力学
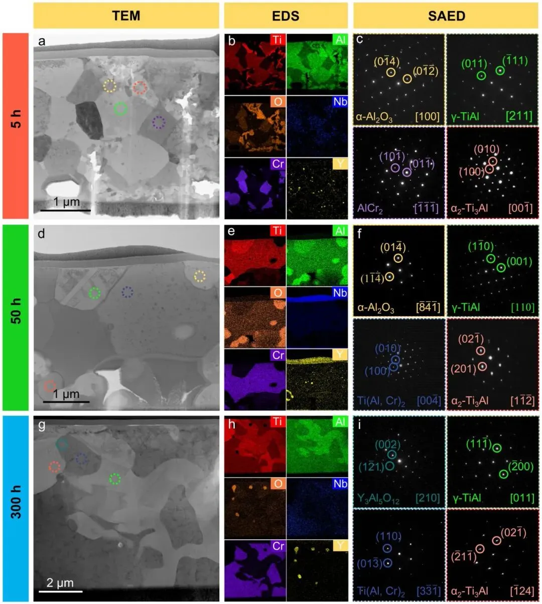
1000℃氧化过程中,涂层物相发生有序转变:5h 时形成 α-Al₂O₃与 θ-Al₂O₃混合氧化膜,基体保留 AlCr₂、γ-TiAl 相;50h 时亚稳 θ-Al₂O₃完全转化为稳定 α-Al₂O₃,AlCr₂溶解并生成 Ti (Al,Cr)₂拉夫斯相,出现 Y 基氧化物;300h 时物相趋于稳定,α-Al₂O₃为主要表面氧化相。氧化动力学呈准抛物线特征,初始阶段质量增益较快,后续速率显著降低,300h 后总质量增益极低,抛物线速率常数 kp=5.17×10⁻⁷mg²/(cm⁴・s),较传统TiAlCr 涂层低一个数量级,抗氧化性大幅提升。

3.微结构自修复的时空演变
5h 氧化后,涂层呈多层结构,存在微空隙,内部 Al₂O₃开始在空隙形核,为自修复奠定基础;50h 时,α-Al₂O₃氧化膜增厚至 3.5μm,内部 Al₂O₃颗粒(~0.6μm)填充空隙,孔隙率降低,互扩散区(IDZ)厚度达~47μm;300h 时,氧化膜增厚至 7.5μm 且无裂纹、结合紧密,内部空隙与 Al₂O₃夹杂物完全消失,实现微结构完全自修复,IDZ 仅轻微增厚至~50μm,互扩散得到有效抑制。

4.自修复的纳米尺度机制
TEM 分析表明,Y 元素在氧化过程中动态偏聚,与 Al₂O₃发生反应:5h 时 Y-rich 颗粒在晶界形核并捕获氧;50h 时 Y 在 Al₂O₃晶界富集,Ti (Al,Cr)₂完全取代 AlCr₂;300h 时形成石榴石型 Y₃Al₅O₁₂纳米颗粒(300-400nm),该相通过氧捕获(降低基体氧含量,缓解内氧化)和体积膨胀(物理填充微空隙,促进涂层致密化)实现自修复,同时还能钉扎晶界,抑制晶粒粗化。

四、涂层性能强化机制
1.自修复机制:氧化诱导的内氧化与物相演变驱动双重自修复,一是 Al₂O₃在微空隙形核填充缺陷,后续溶解并与偏聚 Y 反应生成 Y₃Al₅O₁₂,进一步实现空隙闭合;二是陶瓷相烧结致密化,消除沉积与氧化初期的微缺陷,最终形成无空隙的致密结构。

2.互扩散抑制机制:热处理与氧化过程中,亚稳 AlCr₂向稳定 Ti (Al,Cr)₂拉夫斯相转变,该相与γ-TiAl 形成致密基体,具有低氧渗透性(<0.5at.%)和与 TiAl 基体低热膨胀系数失配(ΔCTE<1.5×10⁻⁶/K)的特点,既限制氧向内扩散,又缓解界面应力累积;同时,Cr-rich 带演变为连续的 Ti (Al,Cr)₂骨架,阻碍涂层 - 基体间长程元素扩散,使 IDZ 在 50-300h 仅从47μm 增至 50μm,远优于传统 TiAlCr 涂层。
3.抗氧化协同机制:稳定的 α-Al₂O₃表面氧化膜为主要氧阻挡层,内部 Y₃Al₅O₁₂的氧捕获作用进一步降低内氧化程度,Ti (Al,Cr)₂拉夫斯相基体则强化了涂层的结构稳定性,三者协同实现 1000℃下 300h 的长效抗氧化。
五、结论
1.采用 AIP 沉积结合 1000℃热处理工艺,成功制备出非晶转晶化的 TiAlCrNbY 涂层,热处理后涂层晶化形成 AlCr₂/τ 相复合结构,力学性能与结合力显著提升。
2.该涂层在1000℃静态空气中表现出优异的长期抗氧化性,300h 氧化后仍保持结构完整,氧化动力学呈准抛物线特征,氧化速率远低于传统 TiAlCr 基涂层。
3.涂层具有氧化诱导的本征自修复能力,核心为 Y₃Al₅O₁₂纳米颗粒的形成与作用,通过氧捕获和体积膨胀实现微空隙消除与涂层致密化,同时 Ti (Al,Cr)₂拉夫斯相的形成有效抑制了涂层 - 基体的互扩散,IDZ 增长可忽略。
文章系作者翻译,如有错误,请在评论区指出。
欢迎您投稿合金与摩擦学公众号!公众号可发布文献分享、行业咨询、会议信息、招聘信息等!来稿请将Word文档发送至3848246074@qq.com!