点击上方蓝字↑↑↑徐州融照房产,关注我
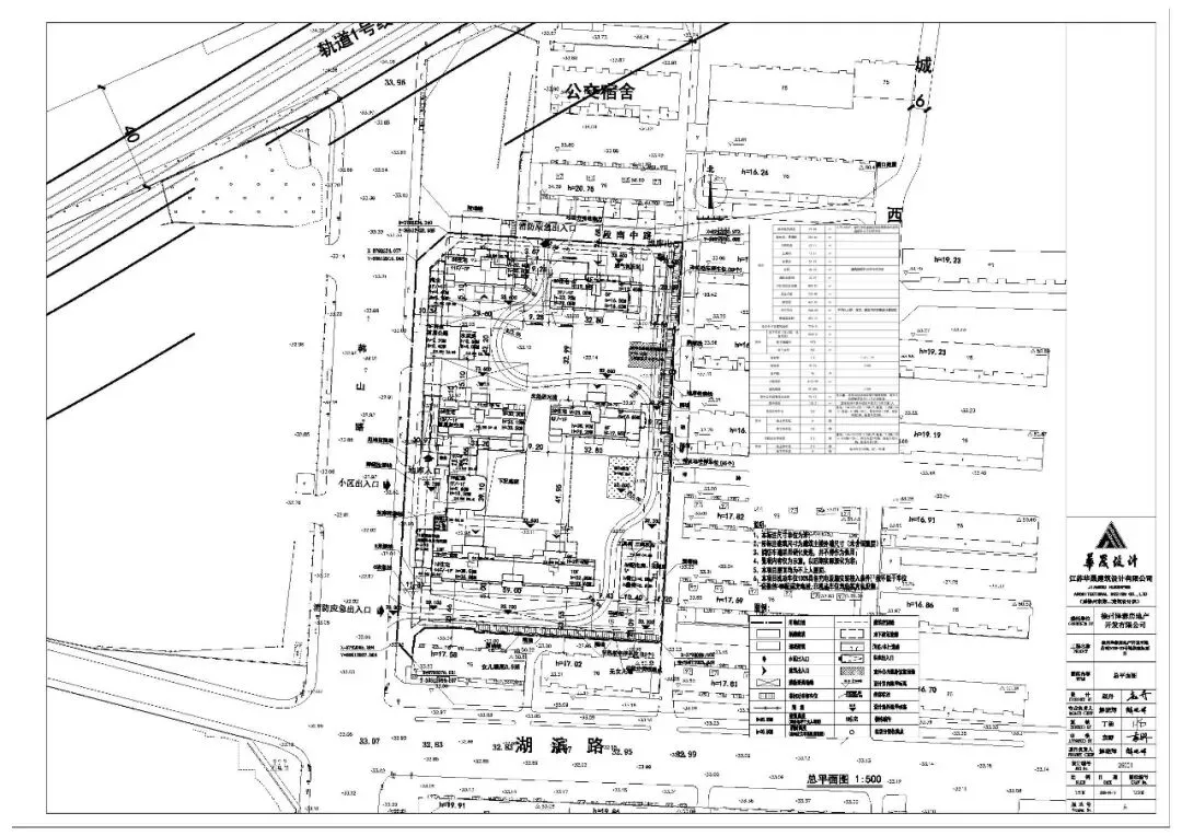
徐州云龙湖北岸湖滨公交修造厂地块规划设计方案正式公示,该地块由北京泽信地产于2025年11月竞得,楼面价8573元/平方米创年度新高。项目规划建设5栋纯洋房,总计96户,户均面积约167平方米,定位为高端四代住宅社区。本文从规划指标、产品设计、市场定位、价格预测等多维度进行分析,为市场提供专业参考。2025年11月8日,经过22轮竞价,北京泽信地产以1.4166亿元竞得湖滨公交修造厂地块,成交楼面价8573元/平方米,溢价率17.4%,成为当年徐州单价最高的住宅用地。该地块位于云龙湖北岸核心区域,占地面积约1.1万平方米,规划容积率1.2,建筑限高36米,用地性质为二类居住用地。
作为泽信地产在徐州的第三个项目,此前该企业已开发九里板块泽信公馆和大学路板块泽信云樾天著。本项目延续了泽信在改善型产品领域的开发经验,但定位显著提升,旨在打造企业在徐州的标杆作品。
二、规划设计方案解析
1. 总体布局与建筑形态项目规划5栋住宅楼,采用差异化层高设计。其中1号楼为11层(东侧单元10层),2号楼10层(东侧单元9层),3号楼为11/10层组合设计,4号楼为7/5层组合,5号楼为8/6层组合。这种设计充分考虑与东侧老旧小区的日照关系,同时创造了丰富的建筑轮廓线。
2. 户型配置与产品特色项目总户数仅96户,户均建筑面积约167平方米。从规划图判断,项目将提供160-180平方米平层户型及200平方米以上顶层复式产品。作为四代住宅的升级版本,项目配置了挑空平台、空中庭院等创新空间,不计容赠送面积达到户均约16平方米。
3. 配套设施体系社区配套设施体现了高端定位:入口设置238.4平方米的双层挑空大堂;地下配置650平方米的业主会所,包含健身房、茶室、休闲区等功能;规划下沉庭院连接会所与地面景观;设置422.3平方米的架空层泛会所空间。此外,项目还配备了1073平方米的地下储藏空间,部分首层住户可能获得专属地下室。
4. 交通组织与环境设计项目实行完全人车分流,123个机动车位和215个非机动车位全部设置在地下。社区主入口位于韩山路,通过精心设计的景观轴线连接各栋建筑。园林设计预计将采用多层次立体绿化,与云龙湖自然景观形成呼应。
三、市场环境与竞争分析
1. 地段价值评估项目地处云龙湖北岸,属于徐州传统的高端居住板块。半径一公里范围内拥有云龙湖风景区、云龙公园等生态资源;距离市中心商圈约3公里;周边分布湖滨中心小学、第十三中学等教育资源;医疗配套包括徐州医科大学附属医院等三甲医院;交通方面,距离地铁1号线工农路站约800米。
2. 板块竞争格局目前云龙湖板块新房供应极为有限。在售项目中,和著湖山处于尾盘阶段,毛坯价格约1.5-1.8万元/平方米;中海臻如府同样为尾盘状态,均价约1.7万元/平方米。二手房方面,云龙湖金茂府挂牌价在2.2-2.5万元/平方米,绿城紫薇公馆在2.0-2.3万元/平方米区间。
3. 竞争优势比较与周边项目相比,本项目具有以下差异化优势:容积率仅1.2,远低于周边项目1.8-2.2的容积率水平;纯洋房产品形态,与周边以小高层和高层为主的产品形成区隔;四代住宅创新设计,在传统高端住宅基础上增加了空中庭院等新功能;96户的小规模社区,确保了居住的纯粹性和私密性。
四、成本构成与价格预测
1. 开发成本分析基于当前市场行情,项目开发成本主要包括:土地成本8573元/平方米,建安成本约6000元/平方米(含精装修),配套设施成本约1500元/平方米,财务及管理成本约1300元/平方米。综合测算,项目基础成本约17373元/平方米(纯数据分析,具体价格参考开发商项目定价)。
2. 市场定价参照参照板块内同类产品,云龙湖金茂府作为板块价格标杆,当前二手房成交价在1.7-2.2万元/平方米区间。考虑到本项目在产品创新、社区纯粹性等方面的优势,预计较金茂府有10%-15%的溢价空间。
3. 价格区间预测综合成本分析和市场对标,预计项目销售均价将在2.0-2.5万元/平方米区间。主力户型总价集中在400-500万元,顶层复式产品可能突破600万元。具体定价将根据2026年市场环境和项目入市节奏进行调整。
4. 去化周期预判基于96户的供应总量和高端产品定位,预计项目去化周期在12-18个月。首批房源可能在2026年下半年推出,2027年底前完成主体销售,2028年底前实现交付。
五、目标客群与营销策略
1. 核心客群定位项目目标客群主要包括三类:一是云龙湖板块现有居民中的改善需求,占比约40%;二是徐州全市范围内的财富阶层,包括企业主、高管、专业人士等,占比约35%;三是看好稀缺地段资产保值增值的投资型客户,占比约25%。
2. 产品价值主张营销将围绕四大核心价值展开:一是地段稀缺性,强调云龙湖北岸最后一块低密住宅用地;二是产品纯粹性,突出纯洋房社区的高端属性;三是设计领先性,展示四代住宅+的创新理念;四是圈层专属性,营造仅96户的精英社区氛围。
3. 营销节奏规划预计2026年1-2月完成规划公示和市场预热;3-4月举行产品发布会,启动VIP客户预约;5-6月开放实体营销中心和样板间,开展诚意登记;7-8月择机开盘销售;2026年底前完成主体结构施工;2027年底前实现交付入住。
六、项目价值与行业影响
1. 对区域市场的意义项目的推出将填补云龙湖板块近年来高端新房供应的空白,重新激活板块市场热度。通过产品创新,有望提升整个板块的价值预期,带动周边二手房价格重塑。
2. 对行业发展的启示作为四代住宅的升级实践,项目在低容积率地块开发、高端社区配套、创新空间设计等方面的探索,将为徐州房地产行业提供新的参考样本。特别是在存量土地的高质量开发方面,具有示范意义。
3. 对城市建设的贡献项目位于云龙湖这一城市名片区域,其开发品质直接影响城市形象。高品质的住宅社区建设,有助于提升云龙湖周边城市界面的美观度和协调性,实现自然景观与人文建筑的和谐共生。
4. 潜在挑战与应对项目面临的主要挑战包括:高端市场的需求容量有限,需要精准客群定位;价格突破现有天花板,需要强有力的价值支撑;创新产品的市场接受度需要时间检验。应对策略包括强化产品体验营销、建立客户信心、控制推盘节奏等。
泽信湖滨项目作为云龙湖北岸稀缺地块的高端住宅开发,其意义超出了单一房地产项目的范畴。从市场角度看,它是检验徐州高端购买力的试金石;从行业角度看,它是产品创新实践的重要案例;从城市角度看,它是优化城市空间品质的具体行动。 项目的成功不仅取决于产品本身的质量,更在于对高端客群需求的深刻理解,以及在价格、品质、服务等多维度建立的综合竞争优势。对于潜在购房者而言,这可能是拥有云龙湖一线居住体验的最后机会之一,但需要在稀缺价值与价格承受之间做出理性权衡。 随着项目开发的推进,市场将给出最终的评价。但可以肯定的是,这个仅96户的洋房社区,注定将在徐州房地产发展史上留下独特的印记。数据来源说明:本文分析基于徐州市自然资源和规划局公示文件、徐州市公共资源交易中心土地成交数据、贝壳找房平台市场监测信息、企业公开资料等。价格预测部分结合了专业评估和市场调研,实际情况可能有所调整。建议读者关注项目官方发布的最新信息。不唱衰,理性分析当前房产形势,记住:用的上,还的起,卖得掉!有需求该买就买!~在徐州不知道怎么买的欢迎来找我!